Proposed Development on Duncombe Hill Green [2018-2019]

Interesting to see this patch of land at the junction of Brockley Rise and Duncombe Hill for sale, with suggestion of a development (subject to consents):
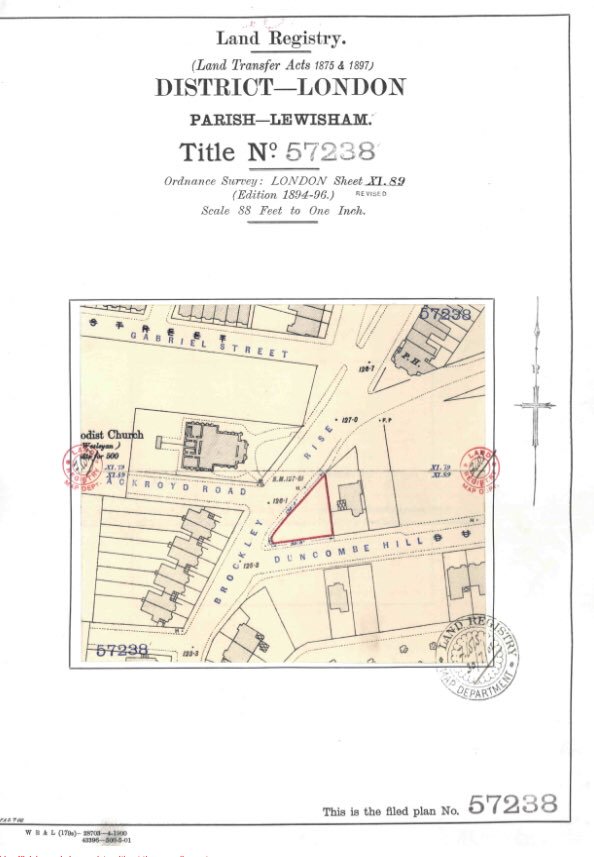
Brockley Rise/Duncombe Hill, London, SE23 1JP
http://www.rightmove.co.uk/property-for-sale/property-72710996.html

I think this is a particularly bleak part of the neighbourhood (despite being the location of a great bar and restaurant) - so would be great to see it spruced up with some stylish new flats and shown some love.

1 Like

It’s a bleak, grey part of the neighbourhood, except for that little patch of green space and its mature trees.

I wish they’d leave these precious green spaces alone. Once they’re gone, they’re gone forever.

15 Likes

That seems really cheap. I can only guess what that parcel of land would fetch if it came with planning permission. One could build a large exceptional house on that land. And with that price at a fraction of what it would be to buy and rebuild.

1 Like

Guess there are all sorts of considerations regard this, way before picturing it covered in property.

Priced to sell without planning consent, always an indicator of likelihood of getting said consent.
Mature tree, allowed to be removed, or left in situ (the latter I would hope)
The path, is that a public right of way, if so has to remain, and is therefore not part of the plot.

Plot shrinking rapidly already.

In reality it is about half the visible plot.
Maybe enough room for a good compromise of public space and a building.


That said, it would be an isolated building too.

2 Likes

And what about if that big tree’s got a TPO on it!
Its trunk must be about a metre in diameter, which would (should’ve been spelled ‘wood’ just for @starman :wink:) mean that the workable plot is reduced even further due to the Root Protection Area, which is 12.5 times the trunk dia.

3 Likes

I’ve worked in wood.

1 Like

In reality, I think they know exactly what they are selling and the liklihood of anything being done with it other than a play area or something low impact.

If you look at the photos on Rightmove it shows the exact footprint and it doesn’t include the footpath.

1 Like

I wonder who the current owner is and why they’ve decided to sell now. My own view is that it’s a shame to lose these little patches of green - I know this isn’t an idyll, but these sorts of pocket park are surely better than building up to the edge of every road.

11 Likes

I pass this plot every morning and have often thought that more use could be made of it: maybe a more formal parkscape or some sort of play area which retained some of the grass and trees.

Given that I believe we’ve only just got agreement to get trees planted in the triangle of concrete opposite the Chandos as an attempt to smarten up the area, because it seems to be generally agreed we need more greenery, it would seem to defeat the aim of retaining and/or expanding open space in the area if the Duncombe Hill plot is destined to become yet another “luxury apartments” development.

3 Likes
1 Like

Lewisham Council seem hellbent on selling everything… this is the only bit of green in Brockley Rise and they want to flog it to the highest bidder… I mean, seriously!? What can we do about this? Buy it as a collective? It’s wholly unsuitable for development and will mean a loss of some much needed greenery…

2 Likes

Do you know that the Council own this?

1 Like

I don’t know but it seems like a fair assumption given what/where it is

Given that it has some planning protection as a London Square, and is listed as such by the Council, then it would seem disingenuous to sell it for development subject to consent. So, it would be an interesting situation if it is the owner though I suspect the agent wouldn’t care a jot. Caveat emptor.

My presumption given the private nature of the sale is that some other interest owns the land. Would be interesting to know though.

I wondered if it did belong to a Church or a school or some other institutional organisation.

1 Like

The funny little strip behind the benches is now being dug up. Anyone know what’s happening there?

2 Likes

I went past there this morning on the bus & Im sure I saw on the signboard ‘2 five bedroom houses with 3 bathrooms’ or could that relate to something else??

It could be, but from what I can see I assumed that it’s outside the boundary of that refurbishment.